menu
Cây dược liệu cây Ké đầu ngựa - Xanthium inaequilaterum DC
Cây dược liệu cây Ké đầu ngựa - Xanthium inaequilaterum DC
Theo Đông Y, Quả Ké đầu ngựa (Thương nhĩ tử) có vị ngọt nhạt, hơi đắng, tính ấm, có tác dụng tiêu độc, sát trùng, tán phong, trừ thấp. Ké đầu ngựa được dùng chữa phong hàn đau đầu, tay chân đau co rút, phong tê thấp, đau khớp, mũi chảy nước hôi, mày đày, lở ngứa, tràng nhạc, mụn nhọt, làm ra mô hôi. Còn dùng chữa đau răng, đau họng, bướu cổ, nấm tóc, hắc lào, lỵ.

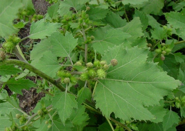
1. Cây Ké đầu ngựa - Xanthium inaequilaterum DC., thuộc họ Cúc - Asteraceae.

Cây Ké đầu ngựa - Xanthium inaequilaterum DC., thuộc họ Cúc - Asteraceae.

2. Thông tin mô tả chi tiết Dược liệu Ké đầu ngựa

Mô tả: Cây thảo sống hằng năm, cao đến 1,2m. Thân có khía rãnh, có lông cứng. Lá mọc so le, có phiến đa giác, có thuỳ và răng ở mép, có lông ngắn ở hai mặt; gân gốc 3. Cụm hoa hình đầu gồm hai loại: cụm hoa đực nhỏ ở ngọn cành, to 5-6mm; cụm hoa cái cao 11mm, có móc cong, mang 2 hoa cái trong 2 ô, tròn, không có lông mào. Quả thuộc loại quả bế kép hình trứng, có vỏ (thực chất là lá bắc) rất cứng và dai, có hai ngăn, mỗi ngăn là một quả thật hình thoi dài 1,5cm.

Cây ra hoa quanh năm.

Bộ phận dùng: Quả - Fructus Xanthii, thường gọi là Thương nhĩ tử. Phần cây trên mặt đất - Herba Xanthii cũng được sử dụng. Ở Trung quốc, người ta dùng quả của loài Xanthium sibiricum Patrin. gọi là Thương nhĩ. Ở Ấn độ, người ta dùng loài Xanthium strumarium L. Tên này cũng thường được dùng để chỉ loài Ké đầu ngựa của nước ta. Chúng tôi dựa vào mô tả trong "Cây cỏ Việt Nam 1993" để giới thiệu tên trên. Loài Xanthium inaequilaterum DC., cũng gặp ở Trung quốc và có tên là Thiên cơ thương nhĩ (Thương nhĩ gốc lệch).

Nơi sống và thu hái: Loài cây của châu Mỹ được truyền vào nước ta, nay trở thành cây mọc hoang khắp Bắc Trung Nam. Người ta thu hái quả chín đem phơi hay sấy khô. Còn cây có thể thu hái quanh năm.

Thành phần hoá học: Trong quả Ké đầu ngựa có alcaloid, sesquiterpen lacton (Xanthinin, xanthumin, xanthatin), dầu béo; còn có iod với hàm lượng cao. Trong lá cũng có iod và vitamin C với hàm lượng cao. Trong cây có một hỗn hợp các alcaloid mà người ta thường coi là độc. Quả Ké đầu ngựa ở Trung quốc có xanthostrumarin, xanthanol, isoxanthanol và xanthumin.

Tính vị, tác dụng: Quả Ké đầu ngựa (Thương nhĩ tử) có vị ngọt nhạt, hơi đắng, tính ấm, có tác dụng tiêu độc, sát trùng, tán phong, trừ thấp. Lương y Việt Cúc ghi nhận về cây Ké đầu ngựa như sau: Thương nhĩ thảo ấm, giải phong nhiệt thấp tê, bổ não tuỷ, chữa nhức đầu viêm mũi dị ứng, bạch đới, lâm lậu

Ké đầu ngựa ngọt ôn, chữa não phong,

Nhức đầu đau mắt thấp tê rần,

Phong cùi lậu ké, cùng tiêu độc,

Óc nhiễm hàn, mũi chảy nước trong.

Công dụng: Ké đầu ngựa được dùng chữa phong hàn đau đầu, tay chân đau co rút, phong tê thấp, đau khớp, mũi chảy nước hôi, mày đày, lở ngứa, tràng nhạc, mụn nhọt, làm ra mô hôi. Còn dùng chữa đau răng, đau họng, bướu cổ, nấm tóc, hắc lào, lỵ. Liều dùng 6-10g dạng thuốc sắc. Toàn cây được dùng chữa tử cung xuất huyết, apxe sâu, hủi và eczema. Cũng có người dùng chữa thấp khớp, bướu cổ. Liều dùng 30-60g dạng thuốc sắc.

Ở Ấn độ, người ta dùng toàn cây làm toát mồ hôi, làm dịu, làm tiết nước bọt, thường dùng trị sốt rét, Rễ đắng và bổ dùng trị bệnh tràng nhạc và ung thư. Còn quả làm mát, làm dịu kích thích, dùng trị bệnh đậu mùa.

Ở Trung quốc, quả được dùng phổ biến làm thuốc chống bướu cổ, dùng chữa viêm sưng tấy, dùng trong thuốc mỡ trị bệnh về da như eczema, ngứa, vết sâu bọ cắn và ghẻ. Cây được dùng làm thuốc ra mồ hôi, hạ nhiệt và an thần, trị thấp khớp và cảm lạnh. Rễ Ké đầu ngựa dùng trị ung thư và lao hạch; cao rễ được dùng tại chỗ trị vết loét, mụn nhọt, apxe.

Đơn thuốc:

1. Chữa phong thấp, tê thấp, tay chân co rút: Quả Ké đầu ngựa 12g giã nát sắc uống.

2. Chữa phong thấp đau khớp, tê dại đau buốt nửa người, hoặc chân tay lở ngứa ra mồ hôi, viêm xoang, chảy nước mũi, đau trước trán, hay đau ê ẩm trên đỉnh đầu: Ké đầu ngựa 12g, Kinh giới, Bạch chỉ mỗi vị 8g; Xuyên khung, Thiên niện kiện mỗi vị 6g sắc uống.

3. Chữa phong hủi: Lá Ké đầu ngựa, lá Đắng cây, lá Thầu dầu tía, củ Khúc khắc đều 12g, lá Khổ sâm, lá Hồng hoa, lá Thanh cao, Kinh giới, Xà sàng, Bạch chỉ, đều 8g, Nam sâm 8g sắc uống. Thuốc dùng ngoài: Lá Ké đầu ngựa, Lá Cà độc dược, lá Trắc bá, lá Cau, lá Khổ sâm, lá Ngải cứu, lá Thông, lá Quýt nấu nước trước xông, sau tắm.

4. Chữa chứng phong khí mẩn ngứa: Lá Ké đầu ngựa tán bột 8g, uống với rượu ngâm đậu đen. Phối hợp với thuốc dùng ngoài: Lá Ké đầu ngựa, lá Bồ hòn, lá Nghể răm, lá Thuốc bỏng, nấu nước để xông và tắm.

5. Chữa đau răng: Sắc nước quả Ké (liều vừa phải) ngậm 10 phút rồi nhổ ra. Ngậm nhiều lần trong ngày.

6. Apxe sâu: Ké đầu ngựa 50g, Thài lài 30g giã đắp.

7. Apxe vú, bị thương chảy máu: Giã cây tươi đắp ngoài

8. Chữa các bệnh phong, dị ứng gan, mẩn ngứa, mày đay: Ké đầu ngựa 15g, Kinh giới bông 10g, Muồng trâu 15g, Cỏ Mần trầu 15g, Cam thảo đất 10g, Bạc hà 10g, Cỏ hôi 10g, Bèo tai tượng 15g, Chổi đực 10g, Nghể bà 10g. Các vị hiệp chung một thang, đổ một bát nước, sắc còn 8 phần, uống ngày 1 thang (Kinh nghiệm ở An giang).

3. Tham khảo thêm hình ảnh cây Ké đầu ngựa - Xanthium inaequilaterum

Tham khảo thêm hình ảnh cây Ké đầu ngựa - Xanthium inaequilaterum

What's your reaction?

Facebook Conversations