menu
Cây dược liệu cây Han voi, Mán voi - Dendrocnide urentissima (Gagnep.) Chew, (Laportea urentissima Gagnep)
Cây dược liệu cây Han voi, Mán voi - Dendrocnide urentissima (Gagnep.) Chew, (Laportea urentissima Gagnep)
Dược liệu Han voi Lông ngứa và nguy hiểm. Rễ dùng làm thuốc chữa ho, hen. Cành không lá nấu nước tắm đun sôi để nguội, không pha nước lã, dùng khăn khô nhúng vào nước và chậu, gáo khô để múc nước tắm, chữa lở loét, mẩn ngứa có hiệu quả.

Hình ảnh cây Han voi

Hình ảnh cây Han voi

Thông tin mô tả chi tiết cây dược liệu cây Han voi

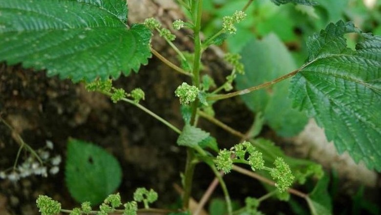
Han voi, Mán voi - Dendrocnide urentissima (Gagnep.) Chew, (Laportea urentissima Gagnep), thuộc họ Gai - Urticaceae.

Mô tả: Cây bụi hay gỗ nhỏ cao 2-6m. Lá mọc gần nhau, phiến hình tim, dài 20cm, chóp nhọn, mặt dưới tim tím; lá kèm hình tam giác nhọn, có lông trắng ở lưng. Cụm hoa ở nách lá, hình chuỳ, có nhánh mảnh ở cụm hoa đực và có nhánh khoẻ ở cụm hoa cái. Quả bế hình thấu kính, rộng 3mm, lổn nhổn những mụn ở trên bề mặt, đầu nhuỵ dạng sợi, dài 2-5mm, có gợn nhiều.

Ra hoa tháng 10.

Bộ phận dùng: Rễ, cành lá - Radix et Ramulus Dendrocnides.

Nơi sống và thu hái: Cây mọc trên các núi đá vôi từ Lạng Sơn, Hà Bắc cho tới Ninh Thuận (Cà Ná). Cũng gặp ở Campuchia.

Công dụng, chỉ định và phối hợp: Lông ngứa và nguy hiểm. Rễ dùng làm thuốc chữa ho, hen. Cành không lá nấu nước tắm đun sôi để nguội, không pha nước lã, dùng khăn khô nhúng vào nước và chậu, gáo khô để múc nước tắm, chữa lở loét, mẩn ngứa có hiệu quả.

Ghi chú: Nếu quệt phải lá Han thì lấy thân cây, cành cây giã nát vắt lấy nước mà bôi.

What's your reaction?

Facebook Conversations