menu
Cây dược liệu cây Nuốt lá cò ke, Van núi, Hồng y dài - Casearia grewiaefolia Vent. var. grewiaefolia
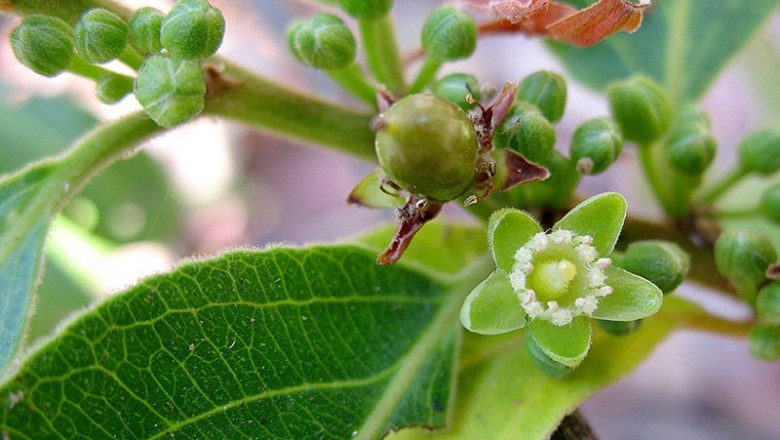
Cây dược liệu cây Nuốt lá cò ke, Van núi, Hồng y dài - Casearia grewiaefolia Vent. var. grewiaefolia
Theo y học cổ truyền, Rễ có tác dụng bổ, lợi tiểu và lọc máu. Người ta dùng rễ sắc nước cho phụ nữ sinh đẻ uống trong 15 ngày đầu sau khi sinh; còn dùng phối hợp với các vị thuốc khác sắc uống trị viêm tử cung...

Thông tin mô tả chi tiết cây Dược liệu Nuốt kas cò ke

Nuốt lá cò ke, Van núi hay Hồng y dài - Casearia grewiaefolia Vent. var. grewiaefolia, thuộc họ Bồ quân - Flacourtiaceae.

Mô tả: Cây gỗ nhỏ, có các nhánh có lông hung. Lá hình trái xoan ngược hay thuôn, màu lục và gần như nhẵn ở mặt trên, nhạt màu hơn và có lông mềm ở mặt dưới, hầu như cụt ở gốc, nhọn ngắn hoặc tròn ở chóp, dài 8-17cm, rộng 3-7cm, có răng. Hoa nhiều thành xim co ở nách. Quả dạng bầu dục, dài 35mm, rộng 22-25mm, nhẵn, có 6 cạnh trong đó 5 cạnh to hơn, lên tận đỉnh. Hạt hình quả lê, dài 5mm.

Ra hoa quanh năm.

Bộ phân dùng: Rễ - Radix Caseariae Grewiaefoliae.

Nơi sống và thu hái: Loài phân bố ở Campuchia, Nam Việt Nam, Thái Lan, Ấn Độ và Malaixia. Ở nước ta, cây mọc dưới tán rừng và rừng thưa trên đất sét và cát từ đồng bằng tới vùng núi cao 900m ở Lâm Đồng, An Giang.

Tính vị, tác dụng: Rễ có tác dụng bổ, lợi tiểu và lọc máu.

Công dụng: Người ta dùng rễ sắc nước cho phụ nữ sinh đẻ uống trong 15 ngày đầu sau khi sinh; còn dùng phối hợp với các vị thuốc khác sắc uống trị viêm tử cung.

Rễ Nuốt lá cò ke dùng phối hợp với vỏ cây Chòi mòi và vỏ cây Gáo vàng lá không cuống sắc uống trị ỉa chảy.

What's your reaction?

Facebook Conversations