menu
Cây dược liệu cây Dành dành bóng hay Mẫu đơn - Gardenia resinifera Roth., (G. lucida Roxb.)
Cây dược liệu cây Dành dành bóng hay Mẫu đơn - Gardenia resinifera Roth., (G. lucida Roxb.)
Dược liệu Dành dành bóng Ở Ấn Độ, người ta dùng gôm trị bệnh ngoài da và diệt ruồi, sâu.

Hình ảnh hoa cây Dành dành bóng

Hình ảnh hoa cây Dành dành bóng

Thông tin mô tả chi tiết cây dược liệu cây Dành dành bóng

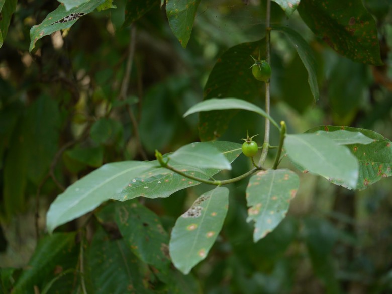
Dành dành bóng hay Mẫu đơn - Gardenia resinifera Roth., (G. lucida Roxb.), thuộc họ Cà phê - Rubiaceae.

Mô tả: Cây nhỡ nhỏ. Lá có phiến thon ngược tròn dài, bóng láng, không lông. Hoa mọc đơn độc ở chót các nhánh, to, màu trắng rồi vàng nhạt, rất thơm, với tràng hoa kép. Quả mọng có vỏ quả mỏng.

Ra hoa quả quanh năm.

Bộ phận dùng: Gôm - Gummis Gardeniae Resiniferae.

Nơi sống và thu hái: Cây trồng làm cảnh, phổ biến ở các tỉnh Nam Bộ của nước ta.

Thành phần hoá học: Có gôm, với tinh dầu và một chất đắng.

Công dụng, chỉ định và phối hợp: Ở Ấn Độ, người ta dùng gôm trị bệnh ngoài da và diệt ruồi, sâu.

Hình ảnh quả cây Dành dành bóng

Hình ảnh quả cây Dành dành bóng

What's your reaction?

Facebook Conversations