menu
Cây dược liệu cây Ngõa lông, cây lá mán, Ngái vàng - Ficus fulva Reinw. ex Blume
Cây dược liệu cây Ngõa lông, cây lá mán, Ngái vàng - Ficus fulva Reinw. ex Blume
Theo đông y, dược liệu Ngõa lông Vị ngọt, tính bình; có tác dụng tiêu thũng, chỉ tả, mạnh gân cốt, kiện tỳ ích khí, hoạt huyết khư phong. Gỗ mềm, quả ăn được. Lá làm thức ăn cho gia súc. Rễ và vỏ được dùng chữa đau phong thấp, khí huyết hư nhược, tử cung trễ xuống, trĩ, thuỷ thũng, ỉa lỏng.

1. Hình ảnh cây Ngõa lông

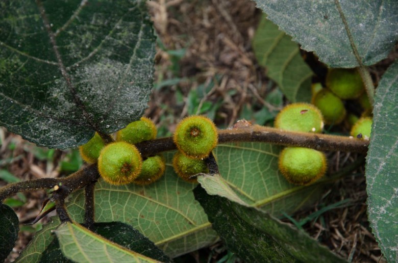
Hình ảnh cây Ngõa lông

2. Thông tin mô tả chi tiết cây dược liệu Ngõa lông

Ngõa lông, cây lá mán, Ngái vàng - Ficus fulva Reinw. ex Blume, thuộc họ Dâu tằm - Moraceae.

Mô tả: Cây nhỡ cao 6-8m, màu vàng hung. Cành lớn, nhiều lông dày, màu vàng hung. Lá dày, hình bầu dục - tim, tròn hay hình tim ở gốc, trên có khi chia thuỳ, gân nổi rõ, nhiều lông cứng, màu vàng hung, mép lá khía răng; cuống lớn; lá kèm hình tam giác lớn, tất cả có lông dày cứng. Quả nang trên cành non, hình bầu dục, xếp 3 quả một chỗ, nhiều lông ráp, màu vàng đậm.

Có hoa quả tháng 1-3.

Bộ phận dùng: Rễ, vỏ - Radix et Cortex Fici Fulvae.

Nơi sống và thu hái: Loài của Ấn Độ, Mianma, Trung Quốc, Lào, Campuchia, Thái Lan, Malaixia, Inđônêxia và Việt Nam. Ở nước ta, cây mọc nhiều ở ven rừng thứ sinh ở hầu hết các tỉnh trung du và miền núi.

Tính vị, tác dụng: Vị ngọt, tính bình; có tác dụng tiêu thũng, chỉ tả, mạnh gân cốt, kiện tỳ ích khí, hoạt huyết khư phong.

Công dụng: Gỗ mềm, quả ăn được. Lá làm thức ăn cho gia súc. Rễ và vỏ được dùng chữa đau phong thấp, khí huyết hư nhược, tử cung trễ xuống, trĩ, thuỷ thũng, ỉa lỏng.

What's your reaction?

Facebook Conversations