menu
Cây dược liệu cây Côn chè, Cù đèn chè - Croton potabilis Croiz
Cây dược liệu cây Côn chè, Cù đèn chè - Croton potabilis Croiz
Theo đông y, dược liệu Côn chè Dân gian dùng lá nấu nước để uống thay Trà.

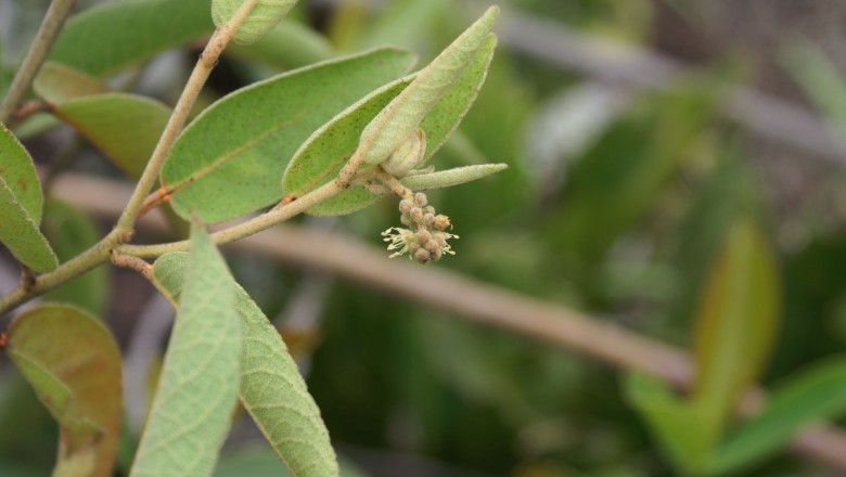
Hình ảnh cây Côn chè

Hình ảnh cây Côn chè

Thông tin mô tả cây dược liệu cây Côn chè

Côn chè, Cù đèn chè - Croton potabilis Croiz, thuộc họ Thầu dầu - Euphorbiaceae.

Mô tả: Cây gỗ nhỏ cao 10-12m, nhánh non có lông hình vẩy màu nâu đỏ. Lá có phiến xoan thon, dài 5-13cm, rộng 1,5-3,5cm, mặt trên nâu đỏ, mặt dưới phủ đầy lông hình khiên màu bạc; gân phụ 8 cặp; cuống dài 1-3cm. Chùm hoa ở nách lá, hoa đực ở trên nhỏ, hoa cái ở dưới lớn hơn, có cuống dài 4mm, 5 lá đài, bầu với 3 đầu nhuỵ. Quả nang tròn, đường kính 5mm trên cuống dài 1cm; hạt xoan.

Có quả tháng 5.

Bộ phận dùng: Lá - Folium crotonis Potabilis.

Nơi sống và thu hái: Loài đặc hữu của miền Trung Việt Nam (Thừa Thiên - Huế và Quảng Nam - Đà Nẵng), thường gặp trong các rừng thường xanh.

Công dụng, chỉ định và phối hợp Dân gian dùng lá nấu nước để uống thay Trà.

What's your reaction?

Facebook Conversations